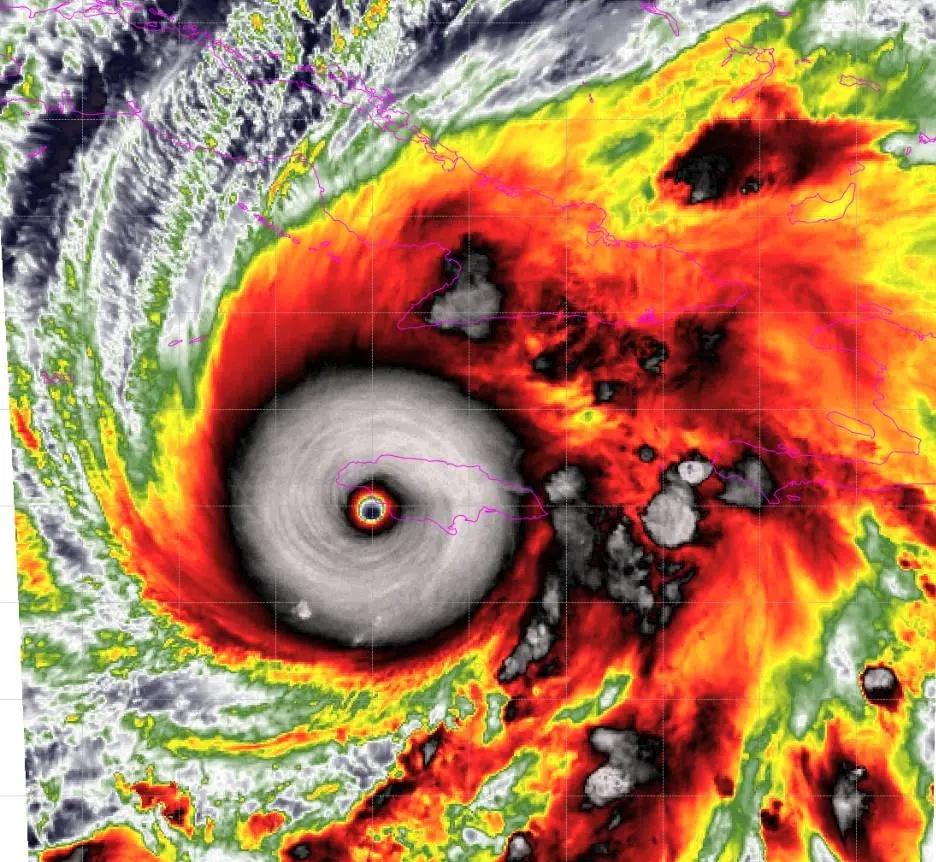
超级飓风梅莉莎即将登陆! 北大西洋超级飓风梅莉莎即将登陆牙买加西部,目前强度仍然有160KT,中心最低气压891.2百帕,梅利莎已经超过超强台风桦加莎,成为今年全球风王。牙买加共和国国西部地区可能将遭遇毁灭性的打击,请有在牙买加的朋友躲避在坚固的建筑内不要外出,等待飓风过去飓风梅莉莎 中央气象台 气象科普团 台风 新的风暴已经出现 破晓而生踏浪而行



超级飓风梅莉莎即将登陆! 北大西洋超级飓风梅莉莎即将登陆牙买加西部,目前强度仍然有160KT,中心最低气压891.2百帕,梅利莎已经超过超强台风桦加莎,成为今年全球风王。牙买加共和国国西部地区可能将遭遇毁灭性的打击,请有在牙买加的朋友躲避在坚固的建筑内不要外出,等待飓风过去飓风梅莉莎 中央气象台 气象科普团 台风 新的风暴已经出现 破晓而生踏浪而行



猜你喜欢
【2评论】【5点赞】
【1评论】【12点赞】
【1评论】【3点赞】
【84评论】【84点赞】
【2评论】【1点赞】
【14评论】【5点赞】
作者最新文章
热门分类
社会TOP
社会最新文章