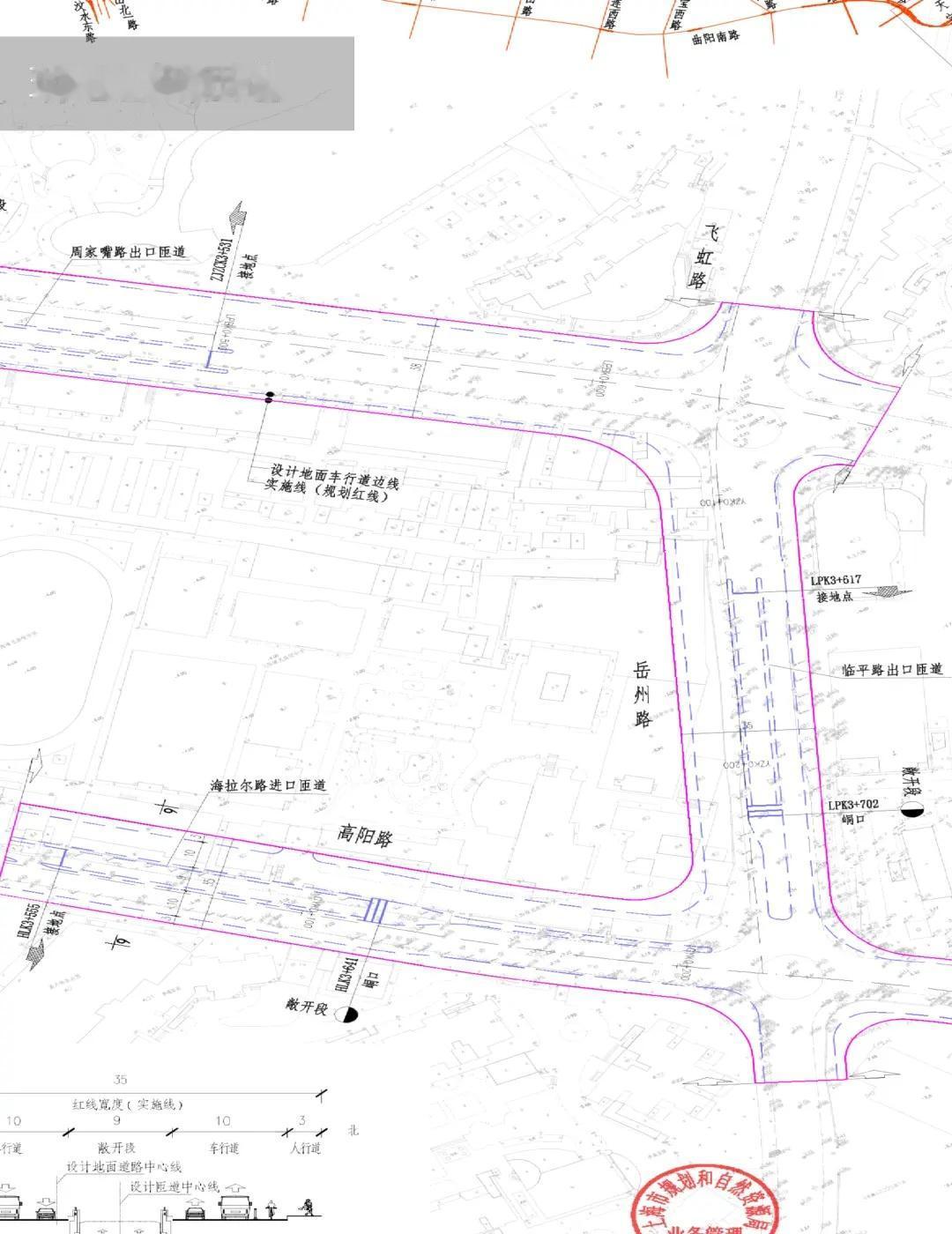
南北通道又有新进展!各匝道细节图来了 近日,南北通道浦西段和越江段新建工程设计方案正式在市规自局公示了! 👉主线始于邯郸路南侧,逐渐由高架过渡到隧道,隧道内为双向六车道,上下行车道堆叠布置 👉邮电新村附近设一个四平路出口匝道(南向北),位于曲阳南路近东沙虹港路,匝道区域宽约9米,两车道平行布置 👉瑞虹区域共设四组匝道,其中海拉尔路进口匝道(北向南)设于高阳路近岳州路,匝道区域宽约9米,两车道平行布置;临平路出口匝道(南向北)设于岳州路近临平路;周家嘴路出口匝道(北向南)设于临平路近瑞虹路;周家嘴路进口匝道(南向北)设于临平路近天宝路 👉浦东大道设一组进出口,位于浦东南路近东城路,匝道区域宽约9.65米,两车道平行布置 建成后,瑞虹与浦东之间的交通将会更方便快捷,你们有没有期待上呢?欢迎聊聊! 海派新房 上海新房派总 上海新房 瑞虹 金茂璞元 南北通道



