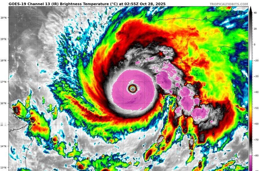
五级飓风梅丽莎现已开始向北转向牙买加方向移动,并持续增强。截至晚上11点的最新侦察显示,持续风速仍为每小时175英里(约280公里),但气压已降至903毫巴(约903毫巴),表明未来几个小时内将进一步增强,并可能于周二上午8点后某个时间登陆牙买加。 梅丽莎目前是2025年全球最强飓风,其气压是自1979年有记录以来大西洋所有风暴中第七低的。

五级飓风梅丽莎现已开始向北转向牙买加方向移动,并持续增强。截至晚上11点的最新侦察显示,持续风速仍为每小时175英里(约280公里),但气压已降至903毫巴(约903毫巴),表明未来几个小时内将进一步增强,并可能于周二上午8点后某个时间登陆牙买加。 梅丽莎目前是2025年全球最强飓风,其气压是自1979年有记录以来大西洋所有风暴中第七低的。

猜你喜欢
【12评论】【30点赞】
【5评论】【6点赞】
【1评论】【2点赞】
【1点赞】
【7评论】【24点赞】
作者最新文章
热门分类
社会TOP
社会最新文章